Распоряжение Заместителя руководителя Исполнительного комитета муниципального образования г. Казани Республики Татарстан от 03.10.2025 N 4703р "О временном ограничении движения по автомобильным дорогам по улицам Магистральная и Яшь Кыч"
Распоряжение
Заместителя руководителя
Исполнительного комитета
муниципального образования г. Казани
от 3 октября 2025 г. N 4703р
"О временном ограничении движения по автомобильным дорогам по улицам
Магистральная и Яшь Кыч"
1. Заявителю: ООО "Глобальные Технологии Развития" (В.В. Бисеров, ИНН 6685197370):
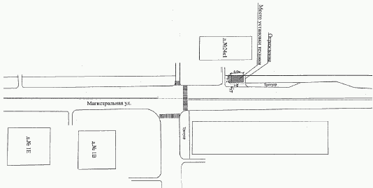
1.1. в целях безопасного проезда транспортных средств и безопасного движения пешеходов при установке ограждений для производства работ по строительству трассы электрокабеля (L=122 м) для обустройства светофорного объекта по адресу: Республика Татарстан, г. Казань, ул. Магистральная - ул. Яшь Кыч обеспечить согласно схеме организации дорожного движения (приложение) выполнение работ по ограничению движения по автомобильным дорогам:
1.1.1. место и время проведения работ:
- ул. Яшь Кыч, в районе здания N 1, в направлении движения автотранспорта в сторону ул. Магистральная (проезжая часть для установки техники), - с 07.10.2025 по 14.10.2025;
- ул. Магистральная, в районе здания N 24 к. 1, (проезжая часть для установки техники), - с 07.10.2025 по 14.10.2025;
1.1.2. документы-основания:
заявление заявителя от 30.09.2025 З-374930;
протокол Межведомственной комиссии по вопросам временного ограничения и прекращения движения по автомобильным дорогам муниципального образования г. Казани от 01.10.2025 N МВК/146;
1.2. работы производить в соответствии с Положением об организации и проведении земляных, строительных и ремонтных работ, связанных с благоустройством территории г. Казани, утвержденным постановлением Исполнительного комитета г. Казани от 12.12.2011 N 8023.
2. Комитету внешнего благоустройства Исполнительного комитета г. Казани (А.М. Шайнуров) проинформировать Администрацию Вахитовского и Приволжского районов Исполнительного комитета г. Казани, Комитет по транспорту Исполнительного комитета г. Казани, Отдел Государственной автомобильной инспекции Управления МВД России по г. Казани, Управление гражданской защиты Исполнительного комитета г. Казани о сроках начала и завершения производства работ.
3. Разместить информацию на официальном сайте Министерства транспорта и дорожного хозяйства Республики Татарстан, входящем в состав государственной информационной системы Республики Татарстан "Официальный портал Республики Татарстан" в сети Интернет.
4. Рекомендовать Отделу Государственной автомобильной инспекции Управления МВД России по г. Казани (М.А. Савин) обеспечить контроль за соблюдением безопасности дорожного движения в период действия временной схемы организации дорожного движения (приложение) в соответствии с настоящим распоряжением.
5. Опубликовать настоящее распоряжение в сетевом издании "Муниципальные правовые акты и иная официальная информация" (www.docskzn.ru) и разместить его на официальном портале органов местного самоуправления города Казани (www.kzn.ru).
6. Контроль за выполнением настоящего распоряжения оставляю за собой.
Исполняющий обязанности - председатель Комитета внешнего благоустройства | А.М. Шайнуров |
Схема
организации дорожного движения транспортных средств по автомобильным дорогам по
улицам Магистральная и Яшь Кыч
(утв. распоряжением
заместителя Руководителя Исполнительного комитета г. Казани от 3 октября
2025 г. N 4703р)


