Распоряжение Заместителя руководителя Исполнительного комитета муниципального образования г. Казани Республики Татарстан от 07.10.2025 N 4709р "О временном ограничении движения по автомобильной дороге по улице Хайдара Бигичева"
Распоряжение
Заместителя руководителя
Исполнительного комитета
муниципального образования г. Казани
от 7 октября 2025 г. N 4709р
"О временном ограничении движения по автомобильной дороге по улице
Хайдара Бигичева"
1. Заявителю: ООО "Глобальные Технологии Развития" (В.В. Бисеров, ИНН 6685197370):
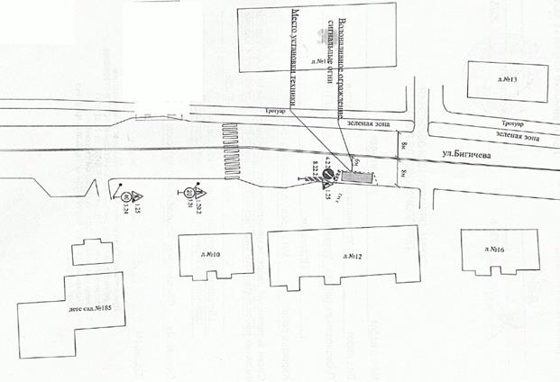
1.1. в целях безопасного проезда транспортных средств и безопасного движения пешеходов при установке ограждений для производства работ по строительству трассы электрокабеля по ул. Хайдара Бигичева в рамках объекта "Светофорный объект на ул. Хайдара Бигичева, д. 11 в г. Казань" обеспечить согласно схеме организации дорожного движения (приложение) выполнение работ по ограничению движения по автомобильной дороге:
1.1.1. место и время проведения работ:
- ул. Хайдара Бигичева, в районе жилого дома N 11, в направлении движения автотранспорта в сторону ул. Академика Сахарова (проезжая часть для установки техники), - с 07.10.2025 по 14.10.2025;
- ул. Хайдара Бигичева, в районе жилого дома N 12, в направлении движения автотранспорта в сторону ул. Академика Глушко (проезжая часть для установки техники), - с 07.10.2025 по 14.10.2025;
1.1.2. документы-основания:
заявление заявителя от 30.09.2025 З-374927;
протокол Межведомственной комиссии по вопросам временного ограничения и прекращения движения по автомобильным дорогам муниципального образования г. Казани от 03.10.2025 N МВК/148;
1.2. работы производить в соответствии с Положением об организации и проведении земляных, строительных и ремонтных работ, связанных с благоустройством территории г. Казани, утвержденным постановлением Исполнительного комитета г. Казани от 12.12.2011 N 8023.
2. Комитету внешнего благоустройства Исполнительного комитета г. Казани (А.М. Шайнуров) проинформировать Администрацию Советского района Исполнительного комитета г. Казани, Комитет по транспорту Исполнительного комитета г. Казани, Отдел Государственной автомобильной инспекции Управления МВД России по г. Казани, Управление гражданской защиты Исполнительного комитета г. Казани о сроках начала и завершения производства работ.
3. Разместить информацию на официальном сайте Министерства транспорта и дорожного хозяйства Республики Татарстан, входящем в состав государственной информационной системы Республики Татарстан "Официальный портал Республики Татарстан" в сети Интернет.
4. Рекомендовать Отделу Государственной автомобильной инспекции Управления МВД России по г. Казани (М.А. Савин) обеспечить контроль за соблюдением безопасности дорожного движения в период действия временной схемы организации дорожного движения (приложение) в соответствии с настоящим распоряжением.
5. Опубликовать настоящее распоряжение в сетевом издании "Муниципальные правовые акты и иная официальная информация" (www.docskzn.ru) и разместить его на официальном портале органов местного самоуправления города Казани (www.kzn.ru).
6. Контроль за выполнением настоящего распоряжения оставляю за собой.
| И.В. Куляжев |
Схема
организации дорожного движения транспортных средств по автомобильной дороге по
улице Хайдара Бигичева
(утв. распоряжением
заместителя Руководителя Исполнительного комитета г. Казани от 7 октября
2025 г. N 4709р)


