Распоряжение Заместителя руководителя Исполнительного комитета муниципального образования г. Казани Республики Татарстан от 07.10.2025 N 4710р "О временном ограничении движения по автомобильной дороге по улице Парижской Коммуны"
Распоряжение
Заместителя руководителя
Исполнительного комитета
муниципального образования г. Казани
от 7 октября 2025 г. N 4710р
"О временном ограничении движения по автомобильной дороге по улице
Парижской Коммуны"
1. Заявителю: ООО "ОСКОМ" (А.П. Антонов, ИНН 1655332746):
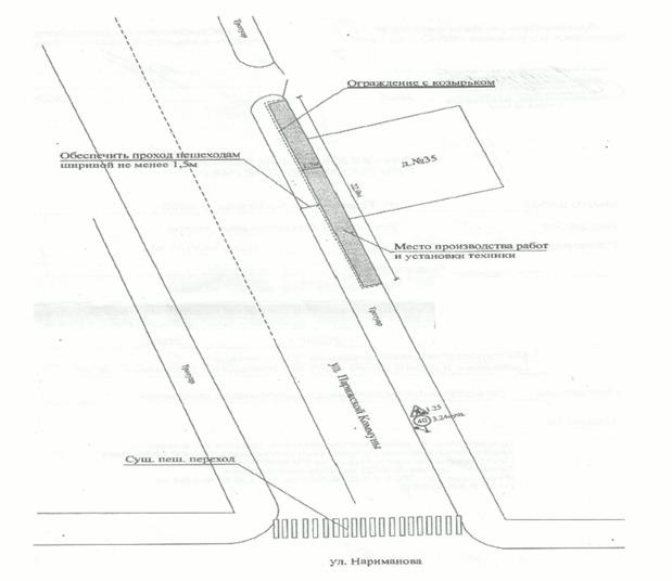
1.1. в целях безопасного движения пешеходов при производстве работ по установке временного ограждения и строительных лесов для объекта "Ремонтно-реставрационные работы объекта культурного наследия "Дом, в котором жил и в 1902 году умер татарский просветитель Каюм Насыри", расположенный по адресу: г. Казань, ул. Парижской Коммуны, д. 35 с приобретением мебели, оборудования и инвентаря" обеспечить согласно схеме организации дорожного движения (приложение) выполнение работ по ограничению движения по автомобильной дороге:
1.1.1. место и время проведения работ:
- ул. Парижской Коммуны, в районе здания N 35, частичное закрытие тротуара, с 14.10.2025 по 30.06.2026;
1.1.2. документы-основания:
заявление заявителя от 02.10.2025 З-375188;
протокол Межведомственной комиссии по вопросам временного ограничения и прекращения движения по автомобильным дорогам муниципального образования г. Казани от 06.10.2025 N МВК/150;
1.2. работы производить в соответствии с Положением об организации и проведении земляных, строительных и ремонтных работ, связанных с благоустройством территории г. Казани, утвержденным постановлением Исполнительного комитета г. Казани от 12.12.2011 N 8023.
2. Комитету внешнего благоустройства Исполнительного комитета г. Казани (А.М. Шайнуров) проинформировать Администрацию Вахитовского и Приволжского районов Исполнительного комитета г. Казани, Комитет по транспорту Исполнительного комитета г. Казани, Отдел Государственной инспекции безопасности дорожного движения Управления МВД России по г. Казани, Управление гражданской защиты Исполнительного комитета г. Казани о сроках начала и завершения производства работ.
3. Разместить информацию на официальном сайте Министерства транспорта и дорожного хозяйства Республики Татарстан, входящем в состав государственной информационной системы Республики Татарстан "Официальный портал Республики Татарстан" в сети Интернет.
4. Рекомендовать Отделу Государственной инспекции безопасности дорожного движения Управления МВД России по г. Казани (М.А. Савин) обеспечить контроль за соблюдением безопасности дорожного движения в период действия временной схемы организации дорожного движения (приложение) в соответствии с настоящим распоряжением.
5. Опубликовать настоящее распоряжение в Сборнике документов и правовых актов муниципального образования города Казани и разместить его на официальном портале органов местного самоуправления города Казани (www.kzn.ru).
6. Контроль за выполнением настоящего распоряжения оставляю за собой.
| И.В. Куляжев |
Схема
организации дорожного движения транспортных средств по автомобильной дороге по
улице Парижской Коммуны
(утв. распоряжением
заместителя Руководителя Исполнительного комитета г. Казани от 7 октября
2025 г. N 4710р)

