Распоряжение Заместителя руководителя Исполнительного комитета муниципального образования г. Казани Республики Татарстан от 08.10.2025 N 4724р "О временном ограничении движения по автомобильной дороге по улице Вишневского"
Распоряжение
Заместителя руководителя
Исполнительного комитета
муниципального образования г. Казани
от 8 октября 2025 г. N 4724р
"О временном ограничении движения по автомобильной дороге по улице
Вишневского"
1. Заявителю: филиалу АО "Сетевая компания" - Дирекция строящихся объектов (А.Э. Клеблеев, ИНН 1655049111):
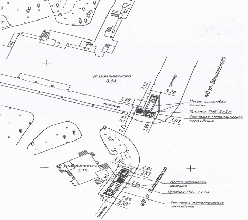
1.1. в целях безопасного движения пешеходов при производстве работ по устройству приямков под горизонтально-направленное бурение по объекту "Реконструкция КЛ-6кВ ПС Восточная ф. 405 (участок КЛ-6кВ ТП-149-ТП-1030) и КЛ-6 кВ РТП-123 л-6 (участок КЛ-6 кВ ТП-247-ТП-1030) (ул. Вишневского)" обеспечить согласно схеме организации дорожного движения (приложение) выполнение работ по ограничению движения по автомобильной дороге:
1.1.1. место и время проведения работ:
- ул. Вишневского, в районе дома N 14 и здания N 16, - с 20.10.2025 по 04.11.2025;
1.1.2. документы-основания:
заявление заявителя от 03.10.2025 З-375369;
протокол Межведомственной комиссии по вопросам временного ограничения и прекращения движения по автомобильным дорогам муниципального образования г. Казани от 07.10.2025 N МВК/151;
1.2. работы производить в соответствии с Положением об организации и проведении земляных, строительных и ремонтных работ, связанных с благоустройством территории г. Казани, утвержденным постановлением Исполнительного комитета г. Казани от 12.12.2011 N 8023.
2. Комитету внешнего благоустройства Исполнительного комитета г. Казани (А.М. Шайнуров) проинформировать Администрацию Вахитовского и Приволжского районов Исполнительного комитета г. Казани, Комитет по транспорту Исполнительного комитета г. Казани, Отдел Государственной автомобильной инспекции Управления МВД России по г. Казани, Управление гражданской защиты Исполнительного комитета г. Казани о сроках начала и завершения производства работ.
3. Разместить информацию на официальном сайте Министерства транспорта и дорожного хозяйства Республики Татарстан, входящем в состав государственной информационной системы Республики Татарстан "Официальный портал Республики Татарстан" в сети Интернет.
4. Рекомендовать Отделу Государственной автомобильной инспекции Управления МВД России по г. Казани (М.А. Савин) обеспечить контроль за соблюдением безопасности дорожного движения в период действия временной схемы организации дорожного движения (приложение) в соответствии с настоящим распоряжением.
5. Опубликовать настоящее распоряжение в сетевом издании "Муниципальные правовые акты и иная официальная информация" (www.docskzn.ru) и разместить его на официальном портале органов местного самоуправления города Казани (www.kzn.ru).
6. Контроль за выполнением настоящего распоряжения оставляю за собой.
| И.В. Куляжев |
Схема
организации дорожного движения транспортных средств по автомобильной дороге по
улице Вишневского
(утв. распоряжением заместителя
Руководителя Исполнительного комитета г. Казани от 8 октября 2025 г.
N 4724р)

